1001&1007 Air Park, Horseshoe Bay, 78657, TX
1001&1007 Air Park, Horseshoe Bay
$95,000
- ID: HLM174063
ABOUT
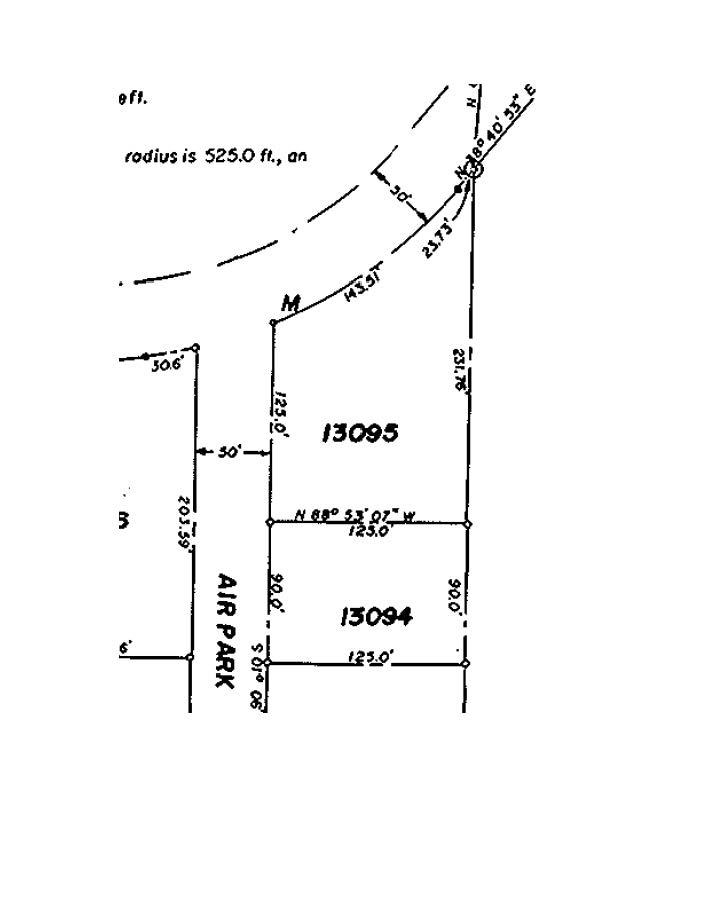
A rare opportunity to own two adjoining lots perched in one of Horseshoe Bay’s most scenic areas—offering panoramic views of Lake LBJ and the rolling Hill Country. Located by the Horseshoe Bay Resort Jet Center, perfect for private pilots. Access 7 premier golf courses in and around Horseshoe Bay—including Slick Rock, Ram Rock, and Apple Rock. Just minutes from the Horseshoe Bay Marina—launch your boat, enjoy water sports, or relax at the Yacht Club. Nearby restaurants, shopping, medical services, and resort facilities bring urban convenience to your tranquil escape. Water, electric, and sewer services ready for hookup—no delays in starting your build. Whether you’re ready to build now or hold as a long-term investment, these lots offer value, versatility, and unmatched location.